၂၈ အောက်တိုဘာ
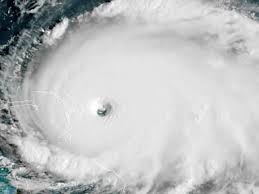
ဖိလစ်ပိုင်နိုင်ငံတွင် တိုင်ဖုန်းမုန်တိုင်း မိုလာ့ဗ်တိုက်ခတ်မှုကြောင့် လူကိုးဦးထက်မနည်းသေဆုံးပြီး ခြောက်ဦးဒဏ်ရာရရှိကာ ထိခိုက်ပျက်စီးမှုများရှိကြောင်း ဘေးအန္တရာယ်လျှော့ချရေးနှင့် စီမံခန့်ခွဲရေးကောင်စီက ယနေ့ ပြောကြားခဲ့သည်။
တနင်္ဂနွေနေ့မှအင်္ဂါနေ့အထိ တိုင်ဖုန်းမုန်တိုင်း တိုက်ခတ်ခဲ့ပြီးနောက် ရေကြီးမှုနှင့်လေပြင်းတိုက်ခတ်မှုတို့ကြောင့် လူနှစ်ဦးပျောက်ဆုံးနေဆဲဖြစ်ပြီး ဖိလစ်ပိုင်အလယ်ပိုင်းနှင့် လူဇုန်ကျွန်းရှိ ဒေသခံ ၂၁၀၀၀၀ နီးပါး အိုးအိမ်စွန့်ခွာထွက်ပြေးရကြောင်း ထိုကောင်စီက ပြောကြားသည်။
အိုးအိမ်စွန့်ခွာထွက်ပြေးသူပေါင်း ၄၈၀၀၀ ကျော် ကယ်ဆယ်ရေးစခန်း ၇၀၄ ခုတွင် နေထိုင်နေကြကြောင်း ထိုအေဂျင်စီက ပြောကြားခဲ့သည်။
တိုင်ဖုန်းမုန်းတိုင်းတိုက်ခတ်မှုကြောင့် နိုင်ငံတစ်ဝန်းရှိ လမ်းပေါင်း ၉၃ ခုနှင့် တံတားအစင်းရေ ၂၀ ပျက်စီးခဲ့ပြီး အမေရိကန် ဒေါ်လာ သန်း ၄၃၀ တန်ဖိုးရှိ စိုက်ပျိုးရေးနှင့်အခြေခံအဆောက်အုံများလည်း ပျက်စီးသွားခဲ့သည်။
ယမန်နေ့မနက်ပိုင်းက ဖိလစ်ပိုင်နိုင်ငံမှထွက်ခွာသွားခဲ့သော အဆိုပါတိုင်ဖုန်းမုန်တိုင်း မိုလာ့ဗ်သည် ယခုနှစ်အတွင်း ၁၇ ကြိမ်မြောက်တိုက်ခတ်ခဲ့သော အပူပိုင်းမုန်တိုင်းဖြစ်သည်။
ကိုးကား-ဆင်ဟွာ
ဘာသာပြန်-မြင့်မြင့်ချို


